[BIOVIA] Laboratory Technician

Functional Value

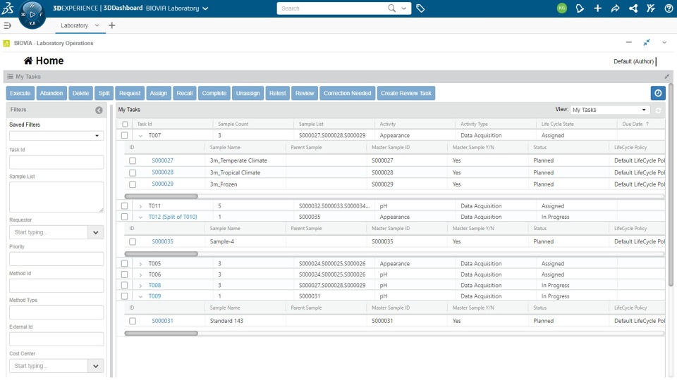
The Laboratory Technician can create task plans, execute tasks and review results.

User Experience Value

The Laboratory Technician executes laboratory processes.


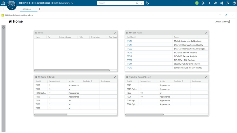
Lab Operations Landing Page

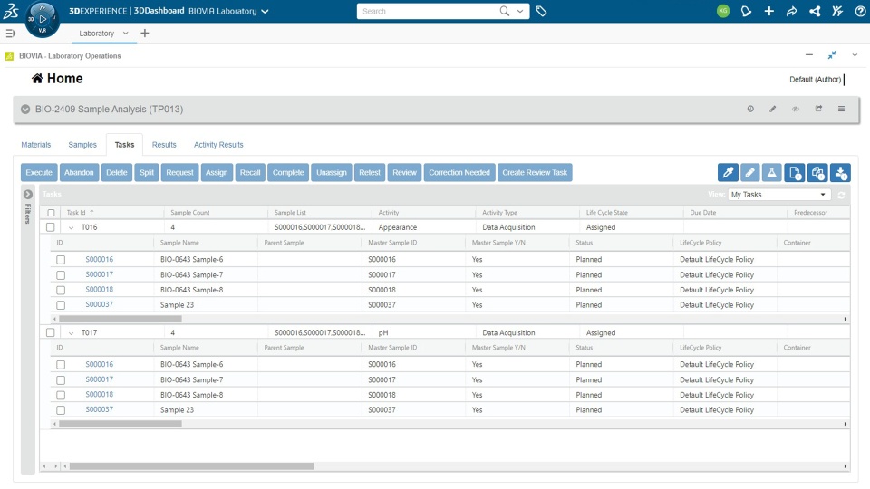
Task Plan - Tasks

Task Widget