Functional Value
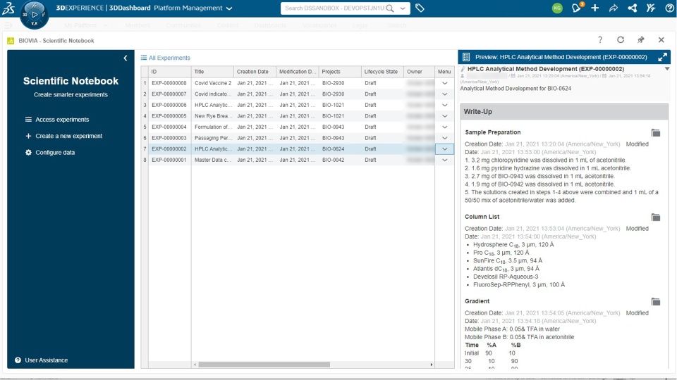
The Analytical Scientist develops, validates and executes analytical methods to ensure product quality and compliance.
User Experience Value
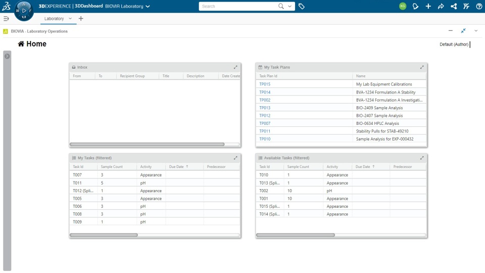
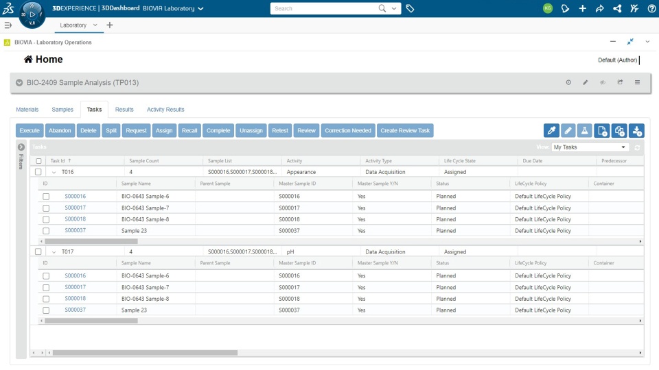
The Analytical Scientist is a general Experimentalist developing methods as well as preparing and analyzing materials in research and development. Provide support for additional study types - reformulation.
