Registration has long been a cornerstone of the drug discovery process, where it plays a central role in enabling the discovery and characterization of novel drugs. In registration, we define the identity of substances of interest by evaluating their key characteristics in order to determine their uniqueness.
BIOVIA has a long history of providing registration solutions, starting out in the 1990's with ISIS and RS3 before moving onto Accord and more recently with Chemical and Biological Registration, the latter the first commercially available biological registration system. With Materials Registration development on the 3DEXPERIENCE platform, BIOVIA is bringing registration bang up to date.
Materials Registration
Materials Registration is a cloud-based, universal registration system capable of handling almost any type of substance. Unlike the vast majority of systems available today that tend to provide dedicated systems for separate user communities of biologists and chemists, Materials Registration provides a single common user experience for use by everyone.
Materials Registration is part of a broader Materials Management initiative under development at BIOVIA. This initiative will enable the use of both real and virtual materials in a variety of use cases covering many different industries including drug discovery.
Key capabilities of Materials Registration include:
- Registration of chemical and biological substances
- Chemical representation using BIOVIA Chemistry, the same chemical representation that you know and trust today
- A brand new user experience that makes it easy for you to register and view substances and lots
- A system that uses a single underlying view of the substance and materials world to streamline the transition of substances from discovery into development and beyond
- Out-of-the-box integration with other BIOVIA applications and services to support key business processes such as small and large molecule therapeutic design
- Availability on public or private cloud
Let‘s have a look at the Materials Registration app in action and understand some of the key concepts that support its capabilities.
Here (above), we are viewing a chemical compound substance in Materials Registration. A substance represents “a single idealized unit of which chemical, biological or mineral matter can be defined”. Consider substances to be conceptual records that describe what you think you have in your tube or vial.
In drug discovery, you can use a substance to represent the primary constituent or species that you think you are testing in an assay looking at the bioactivity of a chemical compound. Further downstream in development, where an understanding of composition may be more important, you can use multiple substance records to capture the composition of what you are actually testing; in essence, by doing this you are defining a material.
In this example, we can see that we have multiple identifications assigned to a substance. In this case two computed identities are visible, one based on the chemical structure of the compound (the COMPOUND identification), the other based on an analysis that computes a parent fragment, typically shared by more than one compound. This PARENT identification enables you to group molecules into families that all share the same common fragment structure.
We define identification as a “calculated way to classify a material or substance and algorithmically group like items together”. We apply identifications automatically to any substance record that possess the characteristics on which they operate. The result of the identification process is the generation of a unique label or identifier.
In the screenshot above, we are viewing a lot record in Materials Registration.
We define a lot as “a physical instance of a material that can be tracked”. You can create a lot directly from a substance form. When you create a lot, the system will create a material record that includes minimal composition information including the substance, identified as the primary constituent. Unlike in Biological and Chemical Registration, lot creation is an optional step.
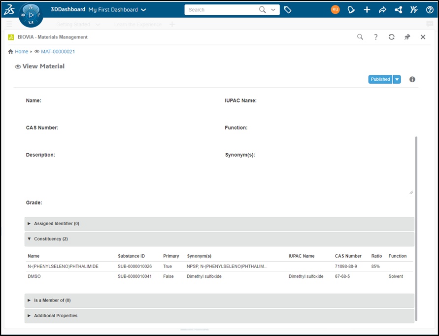
Here (above) we are reviewing the composition of the material record associated to a lot in Materials Management, the sister app to Materials Registration. We can see the substance previously created in the table in the bottom half of the screen, listed as the primary constituent (Primary = “True”). We define a material as “a description of the matter from which things are made, including its physical and chemical properties and optionally, its constituency.”
This final diagram uses a biological example to illustrate how lot, material and substance records all come together to enable the richest representation of the material that you are working on to be captured electronically. This can help to bridge the gap between the discovery and development worlds.
For discovery scientists, you can work and stay focused on understanding the key substance that exists in your sample, as captured in Materials Registration. For scientists working in development, material-level constituency information enables you to capture and understand composition as you move further downstream where this information becomes more important.
In future posts I will elaborate further on the new capabilities we are delivering in Materials Registration. We are always looking for customers that would like to work with us and provide input and feedback on our work. Please reach out to me (Neil Eccles, neil.eccles@3ds.com) if you would like to get involved.
